





| 1本目8:59 | 2本目10:51 | 3本目13:06 | |
| ポイント | A | A | C |
|---|---|---|---|
| 天候 | 曇り | 曇り | 曇り |
| 風 | 東南東 | 東南東 | 南東 |
| うねり | 1m | 1m | 1m |
| 気温 | 24℃ | 27℃ | 25℃ |
| 水温 | 17.3℃ | 16.7℃ | 17.2℃ |
| 潮流 | 北→南0.5〜やや北→南 | やや北→南 | 南→北0.5 |
| 透視度 | 8〜10m | 10〜12m | 10〜12m |
みなさんこんにちは☆ 今日はシケ明けの西川名。やや昨日のうねりが残っていますが、さほど激しくないです。 透明度も申し分ないほどですね☆
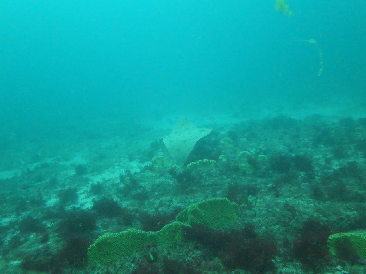
Aポイントからエントリー。やや真潮が流れていますが中層を泳げるほどの流れです。トビエイの根にはメジナやキンギョハナダイの群れ。さらに北へ出ると先日仕掛けてもらった水中定点カメラ☆ 何が写っているか楽しみです♪ ネコの岩でワラサが三匹泳いできました! サメ穴近辺はイサキの超大群☆ キンメモドキも爆発的に増えました! 仲良しなテングダイも3匹泳いでいました♪ テング岩へ行くとツバクロエイが一匹泳いできました。
<他のチームはトビエイ数枚に遭遇>
Aポイントからエントリー。 ほぼ潮止まりなのでもう一度北へ。トビエイの根に着くと15匹ほどのイナダの群れが泳いできましたが、すぐにモロコ岩方面に消えていきました。その後Cブイを経由してV字谷へ、根の上はイサキ天国!! 何十万匹いるんでしょうね??イサキが上を泳いでいると水中が暗くなるぐらいです。西ノ山の裏にはテングダイが一匹泳いでいました。
Cポイントからエントリー。弱い逆潮、まずはメバル谷へ。ムカデミノウミウシやニシキウミウシを見て谷の中へ。コロダイやネンブツダイ、マアジがいっぱいです。谷を向けたところで頭上のイワシの群れを見ながら泳いでいるときに、前方に大きなカメを発見♪♪ しか〜し!ちょっと遠かったため写真撮れず(汗) トク根を周ってV字谷へ、ヒゲダイ達がしっかりお出迎えしてくれました。
明日は南西の風予報。かなり強風になりそうですので明日はクローズとさせていただきます。
明後日は今のところ微妙ですが、一応朝判断とさせていただきます。
TEL0470-29-1411
テラモ
他 YouTube動画
http://www.youtube.com/watch?v=ezBYEoM6izo
