





| 1本目 10:00 | 2本目 12:00 | 3本目 13:15 | |
| ポイント | C | A | A |
|---|---|---|---|
| 天候 | 晴れ | 晴れ/くもり | くもり |
| 風 | 北東 | 北東 | 北東 |
| 波高 | 1m | 1m | 1m |
| 気温 | 22℃ | 25℃ | 25℃ |
| 水温 | 26℃ | 26℃ | 26℃ |
| 潮流 | 南→北(0.5) | ほぼなし | ほぼなし |
| 透明度 | 18〜20m | 15〜18m | 15〜18m |
●今日は朝から北風が強く、やや波立ってます。最近黒潮情報を見てなかったんですが、房総半島の下で西向きに暖水波及があるようです。エントリーした瞬間、「あ・た・た・か・い〜」 しかも青いし〜、底が見える〜! 黒潮さんありがとう。
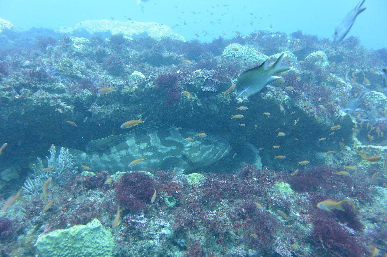
●1本目は行き先の関係でCポイントを選択。今日は終始流れはありませんでした。流れがなくても、今日は魚影が濃い! サメ穴方面では、食べごろのタカベの群れ。目の前でひらひらキレイです。その向こうにはこれまたでっぷり肥ったメバルの群れ。残念ながら昨日よりは透明度が落ちたそうですが、20mは見えています。アナゴ岩の上にはネンブツダイ?の稚魚の群れができてます。ガラス細工のように透き通った小さな魚体。太陽を背にキラキラ光ってます。う〜む。南国。その下の穴を覗いて、タテキン幼魚に挨拶しようとしたら、なんと不在でした〜。えええ、もういなくなったの? そのかわりトビエイの根には居ますからね。V字谷では久々にヒゲダイが並んでいるのを見ました〜。流れが弱かったせいか、底の方で15匹くらいが前後2列になって、横に並んでました。今日はエリア中、モロコさまがあちこちに浮いてます。透明度いいし、遠くから大きな魚体を発見できるので楽しかった〜。
2本目は沖を通って離れ根へ。タテキン幼魚が1匹いなくなったので、これまで幼魚がいたことがある穴や割れ目を徹底的に見て回りました。タテキンはいなかったけど、黄色いボディに黒いラインと黒い点が入ったトノサマダイの幼魚と、レンテンヤッコの幼魚を発見! どちらもとーーーっても臆病で、エアを吐いたたけで穴に隠れちゃいます。3〜4cmしかないから、生きるのに必死なんですね。健気だなぁ〜。形は似てるけど季節来遊魚ではない、シラコダイの幼魚もいましたよ。親と同じカラーリングだけど、小さいので見つけるとハッとします。幼魚だらけの離れ根。しかもいちばん沖の南西斜面に集中。黒潮と関係がないわけないですよね。黒潮が当たり続けると、これからもっと浅場の割れ目にも幼魚たちが見つかるようになるかもしれません。秋がベストシーズンということは、秋に黒潮が当たりやすいということです!差し当たり、明日はメバル小谷の割れ目を攻めてみようと思います。
明日もダイビング日和。時間によっては満員の船もありますので、ご予約はお早めに!
KONZO
YouTube動画
http://www.youtube.com/watch?v=dG2rZo64G5o
