



| 1本目10:40 | 2本目12:39 | 3本目14:06 | |
| ポイント | C | C | C |
|---|---|---|---|
| 天候 | 晴れ/雨 | 晴れ | 晴れ/曇り |
| 風 | 北東 | 北東 | 北東 |
| 波高 | 1.0m | 1.0m | 0.5m |
| 気温 | 27℃ | 32℃ | 30℃ |
| 水温 | 24.9℃ | 25.1℃ | 20.9℃ |
| 潮流 | 南→北(2) | 南→北(1.5) | 南→北(1.5) |
| 透視度 | 15〜20m | 12〜15m | 12〜15m |
みなさんこんにちは☆ 今日も朝からうだる様な暑さ、時々一瞬だけ降る雨が気持ちいいです、感覚的にはスコールみたい☆ さて今日も元気に行ってきました。
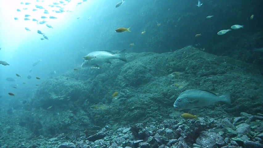
Cポイントからエントリー 今日は自分は10時船だったので、9時船で出たスタッフに聞いてみると。激流とのこと・・・ しばらく待ってエントリーします。 しかしやはり流れてますね(笑) でも水温も高く透明度もいいので頑張りましょう☆ V字谷はイサキとヒゲダイのたまり場、最近イサキの数におされ気味だったヒゲダイさんは、今日は8匹ぐらい並んでいました。離れ根まで続くタカベの群れはとてもきれい♪ 南側で大きなクエを激写。トク根ではヒラマサが2匹出たそうです。 少し南へ出て行ってそこからドリフト〜☆ 気持ちよーく流されてポイントまですぐ着きました。
<9時便では予想外のトビエイの群れでした>
Cポイントからエントリー 流れやまず・・・ 今度はメバル谷へ行きます。ネンブツダイの群れはキラキラ光ってとっても綺麗♪ そこに巨大なヒラマサが一匹猛スピードで泳いできました。メバル谷へ入るとコロダイやマアジがいっぱい泳いでいます。ふと上を見上げると30〜40匹ほどのイナダの群れが駆け抜けていきました!! メバル谷の奥まで進み、岩を掴んでタカベの群れをゆっくり観賞します! そこからまたまた流れに乗ってポイントまで。目の前を駆け巡るイサキの群れを押しのけながらポイントまで戻りました。
Cポイントからエントリー 3本目に行ったチームの報告です。流れはおさまらなかったようです(笑)
エントリーしてすぐにイナダの群れ。サメ穴にイナダの単体☆ アナゴ岩の上層にはカメ☆ それを追う様にシイラも泳いできたそうです♪
西の山から離れ根にはタカベの群れがすごいです!!
明日も北東の風予報。時間によっては潮波が立ちそうですが、潜水してしまえば問題ないでしょう!!
TEL0470-29-1411
テラモ
他 YouTube動画
http://www.youtube.com/watch?v=n3ZxRtDwLWg



























































