



| 1本目 09:30 | 2本目 11:15 | ||
| ポイント | A | A | |
|---|---|---|---|
| 天候 | 晴れ | 晴れ | |
| 風 | 北北西 | 北西 | |
| 波高 | 2.5m | 1.5m | |
| 気温 | 18℃ | 18℃ | |
| 水温 | 16℃ | 16℃ | |
| 潮流 | 北→南 | 南→北(1) | |
| 透明度 | 8〜10m | 8〜10m |
おはようございます!
今日は昨日からのうねりが残り、波が高い高い!
海と睨めっこしながら恐る恐る船を出しました。
Aポイントからエントリー
うおおぉぉお!!船揺れる―(驚)
水面は緑色してました、水底はどうかなぁ〜・・・お!!綺麗じゃーん♪
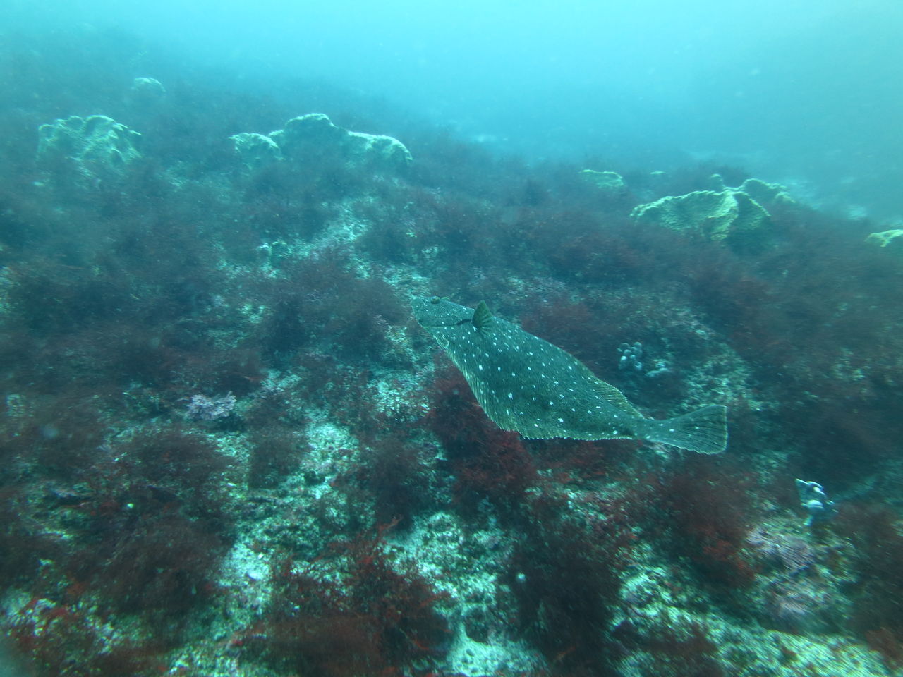
10mは見えてますよ☆ 流れは北からゆっくり♪トビエイ根にはクロアナゴが2匹、東側の穴の中にいるやつのほうが顔出してくれます(^v^)北の岩の麓にテントウウミウシが二匹居ました、2mmぐらい(笑)サメ穴には金色のヒラメを発見!もう一匹は黒でしたが、常に一緒に行動していました。アナゴ岩の上にキビナゴの群れが泳いでいました。青物を待っていましたが、現れず・・・大人しくポイントに帰還。
Aポイントからエントリー
潮が南からに変わり流れてきました。先程よりは水面も青くなってきました☆
水底もいい色です(*^_^*) 中層にはマダイがゴロゴロ、ここにもキビナゴの群れが入って来てました!にぎやかー(^^♪ ゲストさんの話だと一本目にV字谷周辺でトビエイが出たとか\(◎o◎)/!とりあえず大根周辺をウロウロ・・・ホシエイやアカエイには会いましたが、トビエイには会えず(T_T)/~~~ しかーし!! ヒラマサが3匹ほどトク根の上で泳いでいました(*^_^*)V字谷にはヒゲダイが終結☆ その反対側の壁にとんでもなくでかいマルツノガニが隠れていますよ♪ みなさん是非探してみてください☆
ポイント下にはヒラメが一枚デデーンと寝ています。
明日の海況も問題なさそうです!ご予約お待ちしております。
テラモン
TEL0470−29−1411


















今日の海況速報を私に担当をさせていただきます!
そのままハタンポ岩に移動しました、ヒゲダイ君達がバラバラにいました♪なんと、V字谷に行ったら1匹しかいません(゚Д゚≡゚д゚)エッ!?珍しい。。。戻るときにまた大きなアカエイがいました。









ダイバーになついてて、近づいてくるのです。ハタンポ岩には大きなモロコが隠れていた。ちょっとお腹が大きかったです。珍しく大きな金色ヒラメもいました!!西川名は濁ってても迫力のある魚がたくさんいるからやっぱりいいです!