こんにちは、担当のマルです

昨日はそれだけ強い風が吹いてて海も荒れていた、今日の海は心配でしたが意外と素晴らしかったですよ('▽'*)ニパッ♪
| 1本目 08:40 | 2本目 10:37 | |
| ポイント | A | A | |
|---|
| 天候 | 晴れ | 晴れ | |
|---|
| 風 | 北北東 | 北北西 | |
|---|
| 波高 | 1.0 | 殆ど無し | |
|---|
| 気温 | 8℃ | 12℃ | |
|---|
| 水温 | 15℃ | 15℃ | |
|---|
| 潮流 | 南→北(0.5m) | 南→北(1.0m) | |
|---|
| 透明度 | 20m〜 | 15〜20m | |
|---|
1本目はAからのエントリ
船から海の底が凄い見えてました。潜水すると青いです!ちょっと流れがありましたけど、やっぱり透明度がいいと最高ですね

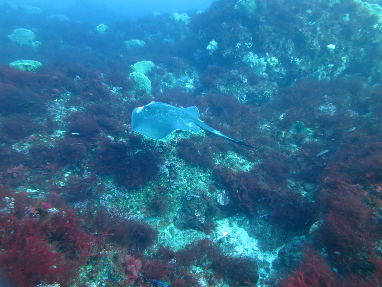
トビエイの根に向かっていきなり1mを越えるアカエイを発見です。カメラの電源を入れたらすぐ逃げられました。(ノд・。) グスン相変わらずモロコ様がごろごろ居ましてしかもデカイです!結構岩に大人しくいるので近くに寄っても逃げないので迫力がありますね、、、


西ノ山まで移動してテングダイも3匹、元気でいましたよ

戻るときにホシエイもビュンビュン泳いでいました。(☆゚∀゚)
2本目もAポイントからのエントリ
ちょっと流れが強くなりましたせいか白濁気味になってきました。濁ってはないのでまだまだ魚がいっぱいいるのをはっきり見えてました。ハタンポ岩にネコザメと60cmぐらいのイシガキフグが一緒に隠れていました。あまりにもイシガキフグの大きさでネコザメが見えないです。離れ根に向かう途中またそこでモロコ様が岩の下で昼寝してたかな??お邪魔しました

と、その上にヒラマサが1匹通過しました。離れ根に回ってまた大きなイシガキフグがいたのです。最近西川名の魚は大きくなってきてます

大根の南側にミツボシクロスズメダイがたーくさんいて可愛かったですよ♪V字谷には10匹以上のヒゲダイたちが並んでくれてます。最近小さいのも混ざっているから新仲間入りですかね
明日の天気は下り坂で、今晩から南西の風が吹くので、海は厳しいと思います。営業の可否は朝判断とさせていただきますので、ご予約を頂いているお客様にはお出かけ前に海況確認の電話を頂きます様お願い致します。宜しくお願いします!!!
TEL 0470−29−1411
※この季節、船の上が辛くなってきますよね。西川名オーシャンパークではボートコートを無料で貸し出しておりますので必要な方はお申し付けくださいませ。